小琉球之旅來到第二天的行程
第一天行程還看到的朋友連結已設定
可以參考看看喔!
第二天的行程我們就分成兩個路線
早餐胖和嘎因為要去參加浮潛
我們是吃三姊早餐
接著到鄰近景點走走
民宿提供的早餐也不錯
採自助式
喝的、吃的、鹹食、甜食一應俱全
並且在浪漫泳池邊
吃起早餐心情好
📍第七站:三姊早餐店
胖和嘎則是清晨六點左右起床
衝到小琉球甚為有名的三姊早餐朝聖
不得不說
餐點都超便宜
菜單拍起來很模糊
不用擔心,絕對不會爆
蛋餅上頭紅紅的小肉豆
有點像小香腸口感
小小一顆,入口剛好
其中最具名氣的則是賓士黑糖包
包得有點像賓士logo
裡頭爆漿黑糖請小心食用
麵皮有Q,好吃
是說甜度高了點!!
對螞蟻胖來說可以接受 haha
店家資訊
店名:三姐早餐店
電話:0961-105512
營業時間:05:00~10:00
地址:屏東縣琉球鄉中山路98號(郵局旁)
臉書:爆漿黑糖包(三姐早餐店)
📍第八站:蛤板灣威尼斯沙灘
素來有威尼斯海灘之美名
也是許多遊客朝聖的熱門景點
只有超早起床才有這番獨享美景
海灘上除了細沙另有不少珊瑚礁岩
和嘎兩人走在這海灘上
寧靜的海面
雪白的沙灘
浪漫至極
每一趟旅程都乘載著我們滿滿的回憶
景點資訊
景點:蛤板灣威尼斯沙灘
電話:08-8614615
📍第九站:琉球嶼燈塔(白燈塔)
剛好在蛤板灣附近
純白燈塔,拍照起來挺美
沿途是蜿蜒山路
周邊頗為荒涼
上來拍張照就可以離開了啦>"<
📍第九站:老鼠岩
有一點可愛
真的像小老鼠
附近還有觀音石....等等
礙於時間,我們走完這就匆匆回民宿
準備浮潛去
景點資訊
景點:老鼠岩
地址:屏東縣琉球鄉忠孝路72號
📍第十站:蟹老闆專業浮潛
我們夫妻倆最期待的行程
選在一早8點出海去XDD
民宿配合的是蟹老闆專業浮潛
費用 $300/人(含拍照及照片光碟)
我們的浮潛地是在花瓶岩
教練人很好
還會先幫我們拍張出海照
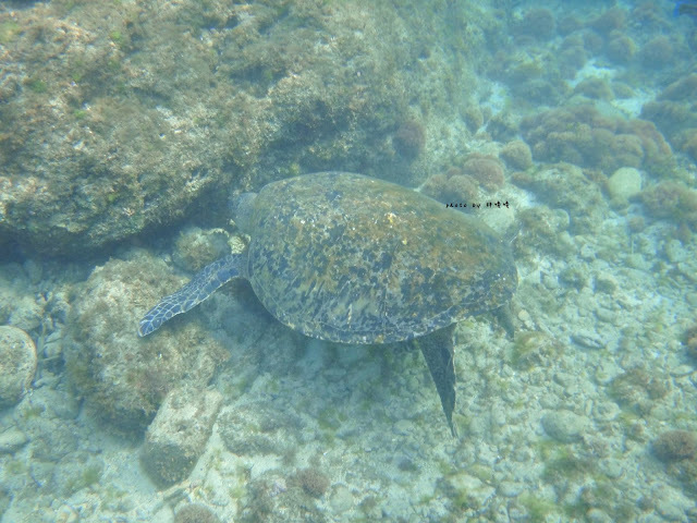
這天我們有看見小琉球五大海龜的其中一隻
據說最大的跟嘎差不多(約190cm)
一早人煙不多
看見陽光穿透海面
撒在珊瑚礁上的景色
唯美到不像話
五顏六色的魚兒
躲在洞內的巨大海膽
還有超大海龜
看著牠在覓食就覺得療癒
浮潛實在太棒了!!
推薦大家在條件許可下要試試
非常感謝蟹老闆的教練
很有耐心也很注意我們的安全
尤其一開始
胖很白癡
看到魚,視線跟著動太多
一直喝到海水))真的好鹹😓😓😓
大家要記得,頭不要隨便大幅度動太多
另外,記得著泳衣、泳褲再穿淺水衣
男生上衣可以穿件薄背心
蟹老闆浮潛有可以沖身體的乾淨空間
戴上大毛巾擦身體便可
有配戴眼鏡的朋友不用擔心
潛水泳鏡會有度數
行前教練會讓我們試戴
最後,放輕鬆~
浮潛很好玩💕💕💕
店家資訊
店名:蟹老闆專業浮潛
電話:0932-848984
營業時間:08:00~17:00
地址:屏東縣縣琉球鄉中山路2-10號
臉書:小琉球蟹老闆專業浮潛
📍第十一站:花瓶岩
沒錯!!雖然浮淺地在花瓶岩
結束這裡的行程後
與爸媽、二姊及孩子們會合
我們又到這裡一次
這時候約莫10:30左右
人漸漸越來越多
哈!突然很想念清晨的寧靜之美
花瓶岩就位在遊客中心附近
也就是搭船處
若沒有要下水
可選為首站或最後一站的行程安排
原味卡布敦啤酒
和花瓶岩的景色結合
現在想起還是如此美好
酒後不開車,未成年請勿飲酒
📍第十二站:Junkies打氣吧-琉心站
在花瓶岩行程結束後
胖和嘎就前往龍蝦洞去
其他人就去逛免稅店囉~~
是的!!小琉球是有免稅店
就在登船處
前往龍蝦洞途中經過打氣吧!!
來自台南的打氣吧!!在IG可是熱門打卡
可以自己選擇喜歡的水果3種和氣泡飲
有杯裝和瓶裝
容量不同
胖選杯裝 $60
選了火龍果、藍莓、鳳梨搭水蜜桃氣泡飲底
超好喝!!!
尤其天氣熱,微氣泡飲喝了很舒服
重點是!!配起來顏色很美
好喝又好看~
店家資訊
店名:Junkies打氣吧-琉心站
電話:08-8613056
營業時間:10:00~21:00
(每週三公休)
(每週三公休)
📍第十二站:龍蝦洞
登愣!!
看到龍蝦洞時真的有點嚇到我
居然要靠著一旁的繩子才有辦法下去
看得我也是醉了
不過慢慢來
腳步踩穩
下去後,景色宜人
來的人不多
愛拍照的可以大拍特拍
有小朋友這裡就不太適合
📍第十四站:老北方蒸餃麵食專門店
在龍蝦洞的行程結束後
我們一行人又會合吃午餐囉~~
這家老北方是好友力推
聽朋友的準沒錯
牛肉麵好吃!!
肉多又大碗
麵條Q彈,湯汁濃郁
這個推薦必點
其他小菜我們夾一堆
口味也都不錯
牛肉捲餅、餡餅大夥也喜歡
價格非常平實
我們點了一大桌
不超過1千塊!
嘎結帳時,整個驚豔
推薦給大家要來試試
大碗又滿意
店家資訊
店名:小琉球老北方蒸餃麵食專門店
電話:08-8612356
營業時間:10:00~20:00
地址:本福村民生路17之1號
📍第十四站:旺昌冰鋪
就在老北方隔壁條街
天氣熱🌞
吃碗冰的再上船
旺昌只營業六、日
想吃的朋友留意營業時間
綠豆饌是墾丁特產
這裡也吃的到
加料免費
胖幫大家加了粉圓
清涼消暑
孩子也喜歡😋
愛玉冰口味也不錯~
微微酸甜酸甜
入口即化!!
店家資訊
店名:小琉球旺昌冰舖
電話:0919-509779
營業時間:10:30~21:00(週六、日)
地址:屏東縣縣琉球鄉中山路115號
臉書:小琉球旺昌冰舖
呼~以上就是我們第二天總行程
這趟玩小琉球
胖只走了2/3圈
下回希望可以全部玩完
小琉球的景點不少
美食各個都好吃又便宜
從台灣出發也方便
下回。連假也計畫出遊吧!!!
小琉球絕對令你驚豔💖
親愛的朋友們!!!!
每篇文章都是胖認真撰文
如果覺得很實用,請用力地分享出去
你的支持,是我努力的動力💪💪💪
請不要吝於給我們一個"讚"喔!!!
👇👇👇

































